学部4年 原田惇作
今年の春休みは南の島へ虫採りに行こう。
南西諸島で昆虫採集をしたことのなかった私は、前年の秋ごろからぼんやりとそんなことを思っていた。
しかし、持ち前の計画性の無さにより、何も決められないまま3月も中頃にさしかかろうとしている。
これはマズい。
同期を誘おうにも皆忙しそうにしているし・・・。
そんな時、後輩集団が春休みの終わりに西表島・石垣島に行くという話を耳にした。
これは便乗だ!
かくして私は飛行機のチケットをとり、初めて南の島へ採集に向かうこととなった。
出発は成田から、石垣空港まで一本。
バニラエアの受付前に着くと、2年(当時)の佐伯(タマムシ)、寺井(ゴキブリ)、山口(何でも)の3人が既に集まっていた。
まだ来ていないのは1年の葛坂(コメツキ)、瀬島(コガネムシ)、林(ゴキブリ)の3人。
これに3年の私(カミキリ)を含めた7人という大所帯だ。
チケットの発行などを済ませ一年生を待つが、なかなかやってこない。
出発時間が近づくにつれ、だんだんと佐伯の機嫌が悪くなる。
佐伯の怒りがピークに達したころ、ほぼ同じタイミングで1年生3人がやってきた。
佐伯がキレながら飛行機に乗り込み、しばしのフライト。
・・・移動・・・
石垣空港に着くと大雨。
預けた荷物もぐっしょりと濡れてしまった。
しかし明らかに東京より気温は高く、蒸し暑い。
1年を待っていたため空港で食事ができず、腹が減ったとぼやく佐伯。

空の機嫌も悪い。
今回は、最初に西表島で採集し、29日の最終フェリーで石垣島に戻りそこから4月2日まで採集という行程。
なので、バスで離島ターミナルまで移動、フェリーに乗る。
・・・移動・・・
フェリーは結構揺れたが、意外と眠ることができた。
西表島に着くと雨はあがっており、荷物を置きに宿へ向かう。
レンタカーを2台借り、軽く採集に出ることにした。
車でしばらく移動してあたりを散策すると、ミドリナカボソタマムシを見つけた。

ミドリナカボソタマムシ
いきなり南国感のあるいい虫だ。うれしい。
その後ビーティングをしていると、本遠征最初のカミキリが落ちた。

ハヤシサビカミキリ
暗くなってきたので、宿に戻る。
ゴキブリ屋2人を含む後輩たちは夜間採集に出るようだ。
部屋の明かりに集まった虫を採集していると、ゴキブリ屋がなにやら嬉しそうな顔で帰ってきた。
なんでもスズキゴキブリという珍品を採ったらしい。
おめでとう。
今日は少し長めの移動。
車を停めてビーティングをしていると触角の長いカミキリが。

アナバネヒゲナガカミキリ
とにかく採る虫がなんでも初採集なので楽しい。
虫採りを始めたころに戻ったような気分になる。
キラッと光る虫が飛んだので、とまった場所を見てみる。

ナナホシキンカメムシ
いやぁ、南国。
センダンの花にはカミキリモドキが集まっていた。

キムネモモブトカミキリモドキ
モドキとはいえなかなかいいムシだ。
そんな中、本州でよく見かけるシルエットが。

ヤエヤマヒメヒラタタマムシ
こちらも南国仕様。
昼頃に移動。その途中で昼食を買うためスーパーに寄る。
ここで岡島先生と瑤寺先輩に会い、一緒に採集することに。
・・・移動・・・

石炭紀を思わせる巨大なシダ。
この林道で、カミキリではイシガキヨナグニゴマフ、アナバネヒゲナガ、サキシマアトモンチビ、ヤエヤマアヤモンチビなどを採集した。
ゴマフは夏頃ならばたくさん採れるのだろうが2頭だけ。しかし、すでに触角が切れた個体だった。
途中、ヤンバルアワブキが生えていたがまだまだ蕾。
あれれ、と思っていたが後から聞くと西表島のものはもっと後に咲くらしい。
石垣島ではちょうどいい時期みたいなのだが。
佐伯が材採集用に引きずりながら持ってきたスダジイの材にヤノヤハズカミキリがくっついていた。
強くビーティングしないとしがみついてしまうのだろうか。
なんにせよカッコいい。

ヤノヤハズカミキリ
夜、部屋の明かりにクロカタゾウムシが来ていた。
明かりまで歩いてきたのか?
この日も前日と同じ方面へ。
採集をするがあまり虫が採れない。
西表島は虫が採れないとは聞いていたものの、ここまでとは。
もちろん、自分がヘタクソというのもあるのだが・・・。
難しい。
林道の窪みにできた水たまりにエビがいたのでびっくりした。

エビ。ちなみにヤゴもいた。

こんなところ。虫が採れないので書くことがない。
さらに、気づかないうちに長靴に穴が開いていた。
前日おろしたばかりだというのに・・・。ショック。
戦意を喪失しかかっていると、山口がイワサキキンスジカミキリが採れたと見せてくれた。
時期が合えば普通種のようだが、いいカミキリなので採りたい。
しかし、あたりを掬ってみるも入らず。
はぁーあ。
見かねた瑤寺先輩から一頭いただいた。

イワサキキンスジカミキリ
宿に戻ってもまだ明るかったのであたりを散策。
適当にビーティングするとぽつぽつとカミキリが落ちる。

ヒゲナガヒメカミキリ

ヤエヤマアヤモンチビカミキリ

イシガキタイワンチビカミキリ
いわゆる普通種であるが、カミキリが落ちてくるだけでうれしい。
山に入ってもなかなか採れないが、民家の周辺はこのような普通種が多く採れる。
結局、今日一番カミキリが採れたのが宿の周りだった。
夜、部屋の明かりで採集をしていると大きめのカミキリの姿が。

イツホシシロカミキリ
前日に佐伯からもらっていたのだが、それより大きめ。
やはりシロカミキリ系はかっこいい。
今日は西表島に一日いられる最後の日。川沿いのポイントへ向かう。
前日に長靴に穴が開いてしまったので、なるべく水に浸からないように進む。
これが非常にしんどい。
そのうえ虫が採れない。トホホ。
唯一採れためぼしいものがこれ。

ヨコスジサビカミキリ
西表の厳しさを痛感した。
移動して今度は海沿いへ。

捕虫網を持って砂浜を歩くのはとても浮くので、すぐ引き返した。
海岸林のショウベンノキの花を見るとカミキリが。

クビアカアメイロカミキリ
一瞬カミキリモドキかと思ったが、カミキリ然とした立ち振る舞いですぐに分かった。
ビーティングでは常連に紛れて、おしゃれなカミキリ。

イシガキシロスジドウボソカミキリ
実はこれ、ずっとタテスジドウボソだと思っており、帰ってから気が付いた。勉強不足。
大きなドウボソカミキリは本州ではお目にかかれないので新鮮。

イシガキトガリバサビカミキリ
良い。一頭しか採れなかった。
材のそばの葉上に目をやると大型のトラカミキリが見えた。

ムネモンアカネトラカミキリ
ムネマダラトラかと一瞬期待したが違った。
なぜかボロボロ。
なんだかんだ初採集種をいくつか採り、海岸での採集は楽しかった。
やはり、人の手が入った場所は幾分か虫が採れやすい。
今日は最終便で石垣島に渡る。それまで採集。
まずは二日目にも行った林道へ。

サキシマカナヘビ
緑色が美しい。何度か見かけていたが写真を撮っていなかった。
ビーティングをしていると極小カミキリが落ちてきた。
ヤエヤマケシだ!と思い毒ビンに入れる。
しかし、その夜宿でソーティングしているときに見つけたのは変わり果てた姿だった。

ギロチン。悲しい。
移動して海岸沿いへ。
ここではイシガキトガリバサビを追加した程度だった。
これにて西表島での採集を終え、レンタカーを返し船に乗り込む。
初めて採集に訪れた西表島は、噂通り虫がなかなか採れず、苦戦した。
ただ自分としては南国の雰囲気を味わえて、とても楽しかった。
・・・移動・・・
石垣島に着き、借りたレンタカーに乗り込もうとしていると雨が降ってきた。
移動日でよかった。
荷物を宿においてスーパー等で買い物。西表島の後に石垣島で運転をすると大都会に来たような錯覚に陥る。
宿にも虫は飛んでこない。
天気が良い。
見晴らしのいい道路沿いにヤンバルアワブキを発見。結構咲いている。
車を停めながら掬ってみるが、虫が全然入らない。
何株目かのアワブキを掬っていると、ベニボタルが飛んでいたのでネットイン。
網をのぞいてみると・・・。

ヤエヤマヒオドシハナカミキリ
巷では八重山春の三珍の一つと言われているらしい。
まだ飛んでくるかと思い、もう少しここで粘ることに。
しかし、虫自体はほとんどいない。
キオビエダシャクがひらひらと舞っているか、カミキリモドキが飛ぶくらい。

キオビエダシャク
しばらく待っていると、また赤い虫が飛んだ。
追加のヒオドシハナを喜びつつネットイン。

マツダクスベニカミキリ
なんと、二珍目であった。
今日はとっても運がいい。

幸運のヤンバルアワブキ。
その後少し移動し、別のアワブキを眺める。
またまた、赤いムシが飛ぶ。
今度はどっちかな?

イシガキカクムネベニボタル
そううまくはいかないらしい。
しばらく粘るが、それ以降追加はなかった。

イツホシシロカミキリ
結構しっかりとしがみついている。揺らしても落ちなかった。
石垣島初日に大物を採ってしまった。
これがビギナーズラックか。
ムネモンウスアオカミキリを狙いに島の中心部で採集がしたかったが、近年規制が強化されたようで今回はスルー。
西の半島へ向かう。
一年の林と瀬島はオープンカーを借りてドライブをするらしい。
楽しそう。
気になるところで車を停めつつ登っていく。
道を歩いていると、時々犬の鳴き声がする。
猟でもしているのかと思ったら、道路に猟犬が下りてきた。しばらく一緒に歩く。
落ちている材を眺めようとしゃがみ込むと、隣に座られてしまった。

おすわり。
その後犬は嫌々軽トラの荷台に乗せられて帰っていった。
少し進んで、スダジイが多く生えるエリアへ。
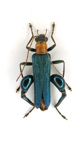
佐伯のスイーピングの手伝いをしていると、大型のカミキリが入った。

イシガキフトカミキリ
もっと後に来ないと採れないと思っていた。びっくり。
しばらくスイーピングしただけで腕がだるくなってしまった。これを一日中続けているタマムシ屋は本当にすごい。

網に入ったクモ。自分はヘタクソなのでタマムシは採れない。
今日は新元号の発表だが、それより気になるのは天気。前日の夜から雨だった。
ビーティングならと思い、北部へ。
令和の二文字が掲げられるころには雨も弱まり、ビーティング開始。
枯れ枝からは多くのカミキリが落ちてくる。
アトモンチビ、アヤモンチビ、タイワンチビ、ワモンサビ、ハヤシサビ等に加えて、新顔も落ちる。

モモブトトゲバカミキリ

シモフリナガヒゲカミキリ

イシガキウスアヤカミキリ
勢いに任せて採っていたら大変な量になってしまった。
ちなみに、こんなものも落ちてきた。

マダニの一種。頭に落ちて刺されたらおそらく気が付かないだろうな、といつも思う。
茶色いカミキリがどっさり採れた一日であった。
最終日。今日も西側の半島へ向かう。
ビーティングをしたが、時間も短く、あまり虫が採れなかった。
そんな中新顔が落ちてきた。

ヤエヤマクロオビトゲムネカミキリ

フタホシサビカミキリ
そろそろ引き揚げないと飛行機に間に合わなくなってしまう。
最後に佐伯の網の外側にいいムシを発見。

ヤエヤマムネマダラトラカミキリ
できれば自分で採りたかった・・・。
ここでタイムアップ。
レンタカーを返して飛行機を待つが、山口が自分の荷物を残して消えてしまった。
余計な荷物を運ぶことになり、佐伯の機嫌が悪くなる。
戻ってきた山口にキレていた。まぁまぁ。
佐伯がキレながら飛行機に乗り込み、しばしのフライト。
・・・帰還・・・
成田に着いて飛行機を降りると、とても寒い。
自分が南国にいたということを実感した。
今回は初めての南西諸島で、普段の採集のようにはいかないことを痛感し、良い経験になった。
また、事前の情報収集をサボっていたので、行き当たりばったりな採集になってしまったのが反省点だ。
長靴に穴が開いたくらいで、大きなトラブルもなく、楽しい採集だった。
直前の参加を快く受け入れてくれた後輩たち、ありがとう。