地獄のサンプル回収記
相馬純
炎天下の中で様々な地域を研究に使うサンプルの為に巡ったことについて書く。
総じて統一性がないのでタイトルで地獄と銘打ってみた。
調査メンバーは・・・地域によって変わるのであくまで私(相馬)の視点で書こうと思う。
最初の調査地は九州である。
本州にしばしの別れを告げ、空路より鹿児島へ。

鹿児島空港自体はもはや見慣れてきた。
 
 
旅の始まりはのどかな田園風景から。
 
駅の看板の煤けた文字が良い。

ソデフリカスミカメの食痕。採集だって真面目にしている。
 
 
翌日は、一路熊本へ。
 
 
 
熱風を全身に浴びながら、九州最南端の地を後にした。
この日は熊本市の外れで夜が更けるまで採集した。

熊本を発った後は佐賀で採集をしたわけだが、まるで写真を撮っていなかった。
 
錆びたガードレール走る海沿いの街でも採集をした。
 
筑後の大地に置き去りにされた昔懐かしき物達。
 
稲穂垂れる季節はまだ遠く。

九州での旅も終わりを告げ夜行バスに乗り込み四国へと向かう。
 
ここが四国、人生初めての四国。
 
 
駅前でプラタナスグンバイを採集し本日の目的地へ向かう。

この日の灯火採集は大豊作だった。
 
林道で蜷局を巻いていた蝮に飛びかかられた。
咄嗟に片足を上げて避けたが四国の洗礼というヤツを感じた。
 
高知で一夜を過ごし、愛媛の海沿いへ向かう。
 
高いところから線路の先を見据えるのは嫌いじゃない。
ここでは照葉樹林の中に分け入り採集をする。

海沿いの次は内陸へ。これもまた写真がない。
金銭的に追い詰められた私の四国における一日の食事はバターロール六個だった。
それと、小さめのペットボトル一本に宿の水道水。
人間、やろうと思えば意外と耐えられるものだ。
四国では、昆虫学会の大会と半翅学会の小集会に参加することもまた目的の一つだった。
 
真夏の日差しに一人焦がされる日も一段落、松山に到達。
 
ひとまず道後温泉へ。
 
少しだけ散歩をしてみる。
 
学会期間中は様々な方の話を聞くことができ、良い経験になった。
しかし、私の旅はこれで終わりではなく対馬に向かわなければならない。

飛行機に乗り、再びの福岡へ。
 
とは言ったものの、フェリーが深夜に出港する為、かなり暇を持て余した。
ポートタワーの窓から日が沈み真っ暗になるまでずっと景色を眺めていた。
 
漸くの対馬、生憎の悪天候。
今年の夏は悪天候との戦いだったので、今に至っては難なく採集を続ける。
慣れれば大概のことはどうでもよくなる。

対州馬というのは、どうにも小型でひ弱そうだが、こう見えてかなり坂道に強いらしい。

海岸は、岩が多く人は少なく、何とも無機質だった。

傾いた日に照らされ、遠くを見据えながら、今まで巡ってきた場所を思い出す。
思い返せば、十八日間も旅に出ていたのだ。
次はどこへ調査に行くのだろう。
この時には既に、来年の遠征地は考えてあった。
先を見据えつつ、目の前の卒業論文と向き合うため、本州の土を踏む。
知らぬ間に、風がかなり涼しくなっていた。
無理もない、もう九月なのだから。
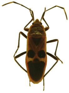
昆虫の写真があまりにも少なかったので最後に一枚。
 11.jpg)
オオホシカメムシ Physopelta (Neophysopelta) gutta gutta (Burmeister, 1834)